#ext3
¿Qué es un disco duro? Un disco duro es un dispositivo de almacenamiento de datos no volátil que emplea un sistema de grabación magnética para almacenar datos digitales. Cuando se instala el disco en una PC, se le asigna una letra del alfabeto, comúnmente la C, los disquets la A y la unidad de CD la…

Hola a todos Ayer descubrí un programa que permite acceder a la partición de Linux desde windows: Ext2explore Os dejo unas imágenes de su funcionamiento, es un ejecutable, no requiere instalación. Al ejecutar el programa, se detectará nuestra partición, ya sea en formato .ext2, .ext3 o .ext4 Accedo …
A veces por motivos de trabajo o por estudio... debemos de tener 2 o más Sistemas Operativos instalados en nuestra computadora, y si estamos logueados en alguna Distribución Linux, en la mayoría de estas distribuciones, nos es posible acceder a discos duros y particiones de Windows (FAT y/o NTFS) si…

Como acceder a particiones Linux (ext2, ext3, ext4, reiserfs, xfs, jfs, etc) desde Windows 2000 / XP Professional / XP Professional x64 Edition / etc Introducción: Decidí hacer este post como una guía útil para quienes necesiten resolver un problema que se suele dar a menudo entre usuarios de difere…

¿Usas Linux y Windows en el mismo equipo? Si es así, seguro que en alguna ocasión mientras usabas Windows necesitaste acceder a algún dato que almacenaste en la partición ext2, ext3, ext4 o ReiserFS de tu distribución de Linux, el problema es que ningún Windows reconoce estas particiones, para soluc…

Este post es para aquellos que se inician en linux o como yo tenemos por diferentes razones los dos sitemas operativos.Ver desde linux las particiones de windows no trae mayores problemas, el problema se inicia cuando desde windows queremos ver las particones de linux (sea ubuntu, kubuntu, etc) e aq…
1º Post, para devolver un poco la gentileza de muchos. Como clonar un disco con formato Ext4 con Ubuntu LiveCd y Supergrub. Muchos usamos entornos X para nuestros servidores/pcs y muchos migramos de ext2/3 a ext4 como File System (FS) por una cuestión de perfomance. ( y… si se nota mucho) La migraci…

Convertir unidades EXT2 o EXT3 a EXT4 sin formatear Si has estado corriendo Linux por un tiempo, probablemente estés utilizando el sistema de archivos EXT2 en tu disco duro, dicho sistema de archivos ahora está ligeramente anticuado o tal vez ya usas el sistema de archivos EXT3. Pero existe una nuev…

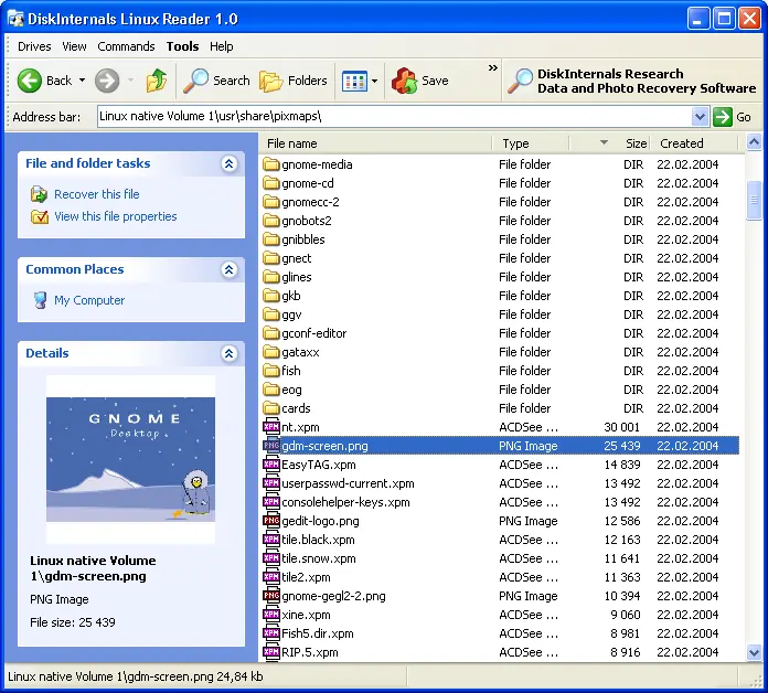
Cómo ver particiones ext2/ext3/ext4 en Windows Seguramente alguna vez te viste en la necesidad de copiar algún archivo o de ver un archivo que se encontraba en una partición Linux típica (ya sea ext2, ext3 o ext4). Claro, el problema era que estabas en Windows y no podías acceder a esa bendita parti…

Los que tenemos GNU/Linux muchas veces hemos tenido problemillas para acceder a las particiones ext2 o ext3. Muchas veces se usa Ext2Ifs, pero no es muy compatible que digamos, por ejemplo, no funciona con las particiones por defecto de openSUSE. Así investigando me encontré con una excelente altern…

En caso de perder datos en nuestro disco duro, por borrarlos, formateos, etc. tenemos varias herramientas para recuperar nuestros datos, algunas disponibles para linux, otras disponibles para windows. Lo mas importante en estos casos es apagar el sistema inmediatamente, no copiar nada, no instalar n…
leer particiones de ubuntu en windows 7. no requiere instalación y es portable. Ext2Read es una utilidad para examinar ficheros ext2/ext3/ext4. Ahora soporta LVM2 y EXT4. Y puede ser usado para ver y copiar ficheros y carpetas. Puede tambien copiar recursivamente carpetas enteras y ser usado para ve…
Existen varias comparaciones sobre sistemas de archivos de Linux disponibles, pero la mayoría de ellos son anécdotas, basadas en tareas artificiales o tareas completadas bajo kernel antiguos. Este benchmark es basado en el ensayo de 11 tareas reales apropiadas para un servidor de archivos con hardwa…
Como anunciamos unos días, la próxima versión de Ubuntu 9.04 vendrá con la posibilidad de ser instalada en particiones EXT4 (cuarto sistema de archivos extendido). En dicha noticia comentó uno de los lectores (gracias davidlan)… ¿qué ventajas tiene? Bien. Eso me ha dado pie a este post en el que he …

Hola gente de taringa, en este post me voy a dedicar a las diferencias entre los sistemas de archivos de linux y windows . No van a empeZar a decir que es un copy and paste porque es info recoletada de lo que estoy estudiando en la escuela y un poco de experiencia y algo de wiki la intencion e…
Este articulo, tiene como objetivo mostrar los beneficios de limitar la utilización del disco, (o quota de disco). Introducción Quota de disco, este es un recurso, sin duda, muy interesante y muy utilizado en servidores de archivos, servidores WEB y de e-mail. En general, no existen ventajas o motiv…
Hola amigos, como ya sabrán, las particiones de disco en formato ext2 y ext3, propio del sistema operativo Linux, son invisibles para el sistema operativo Windows de Microsoft. Esto era un inconveniente a sumar a la lista para tener ambos sistemas operativos instalados en nuestro PC. Con Ext2 IFS n…

SystemRescueCD es un sistema Gnu/Linux arrancable desde CD-Room que sirve para reparar tu sistema y recuperar tus datos despues de un fallo. También intenta proporcionar una manera fácil de realizar tareas administrativas en tu ordenador, como crear y editar particiones en el disco duro. Incluye GNU…
Hola aca les dejo varias versiones de ubuntu espero les guste... saludos y COMENTEN! Ubuntu 9.04 Jaunty Jackalope Características de la nueva versión de Ubuntu 9.04 son las siguientes: * Mejoras en los tiempos de arranque. * Migración a Bazaar. * Mejoras importantes en la interfaz gráfica del usuari…
Si todavía no tienes la última versión de Ubuntu, la cual ya incluye el sistema Ext4, abre el terminal con Alt+F2 y teclea update-manager-d. A continuación, se abrirá la ventana de actualizaciones, ofreciéndote la opción de actualizar a Ubuntu 9.04. Una vez hayamos acabado de instalar Ubuntu 9.04 en…
